MABEL NORMAND STUDIO


History coming soon!


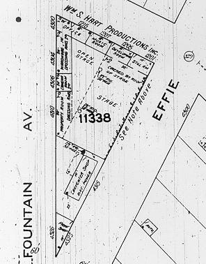
A Sanborn Fire Insurance Map of the studio in 1919 when William S. Hart controlled it [north is to the left].